Heupen en rug Ace, 11 jaar
(04-07-2019)
![]() |
![]() |
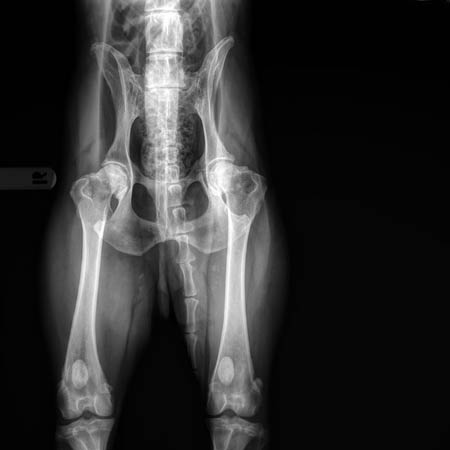
| Uitleg heupfoto's: rechts een uitvergroting van de linkerheup van de linker foto (dit is de slechtste heup). In geel zijn de botwoekeringen aangegeven en de onregelmatige lijn van de heupkop. De kommen zijn diep genoeg, de rechter kop zit mooi diep, de linker iets minder diep. | |
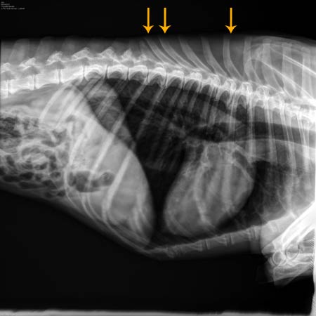
![]() Ter hoogte van de pijlen is in de rug spondylose zichtbaar. |
![]() In de lage rug zijn geen problemen zichtbaar |
Laatst gewijzigd op:




