Epic Ellis di Terra Luna
IGP3, IBgH3, OB-1, VZH
| Geboren : Geslacht : NHSB : |
18-12-2016 (3:4) Teef 3086435 (import Zwitserland: SHSB 748154) |
![]() ![]() ![]() ![]() |
| HD : | HD-A (Norb.waarde 32,5, botafw. 0, goede aansl.) Pennhip: DI=0.19 (details + uitleg) | |
| ED : | Vrij (ED 0/0) | |
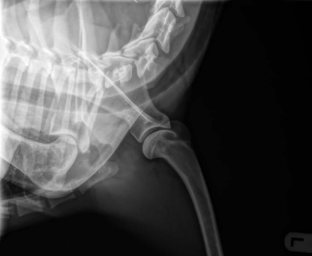
| Rug : | 7 wervels, normaal (foto) | |
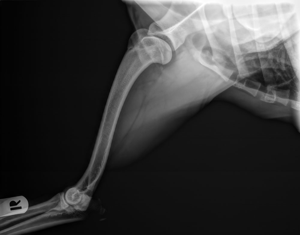
| Schouders : | normaal (foto's: links, rechts, verklaring dierenarts) | |
| Ogen : | vrij (08-06-2018) | |
| Gentesten : | SDCA1: vrij; SDCA2: vrij; CJM: vrij; K-Locus: KBKB Embark profiel: (document) Genetische COI: 7% PolyA: A0/A22 | |
| Gebit : | complete schaar | |
| Gedrag : | Sociaal+; Verdediging: Goed; Schot: Goed (video en rapport) | |
| Exterieur : | Goedgekeurd voor de fokkerij (keurrapport) | |
| Schofthoogte : Gewicht : |
62 cm 28 kg |
|
| Diploma's : Overig : |
IGP3, IBgH3, OB-1, VZH Detectie: level 3; Ag1 |
|
| Eigenaar : | Thea van Niekerk (kennel "Of Dazzling Black") | |
| Overig : | ||
| Greco de las 4 Estaciones Ring 3 LOE 2038424 |
Diuck de las 4 Estaciones LOE 1395074 |
Tar de las 4 Estaciones LOE 0828951 |
| Uganda de las 4 Estaciones LOE 0859150 |
||
| Ehiza de las 4 Estaciones LOE 1890648 |
Breaker de Las 4 Estaciones (?) LOE 1273034 |
|
| Buda Las 4 Estaciones LOE 1254940 |
||
| Dolce Vita di Terra Luna BH, Ag-3 HD-A, ED 0/0, Ogen vrij SHSB 717400 |
First Land van Mechelaar (TV) LOF 221857/22160 |
Otto du Val l'Abbe (ML) Ring 3 fin. LOF 39984/6696 |
| Britney Land van Mechelaar (ML) LOF 67988/8480 |
||
| CH-J.Ch. Boccia di Terra Luna Ag-1 HD-A, ED-0, SHSB 663604 |
sr.Ut., Ch.T/R Rex du Champ Boulet Ring III HD-A, LOF 45819/46590 |
|
| Scalloway's Jispa Ag-2 HD-A, SHSB 588918 |
| Bekijk Ellis ook in: |
|
Laatst gewijzigd op:




